Get a Free Property Valuation with FindQo.ie Property Valuation Calculator!

Free Valuation

€null
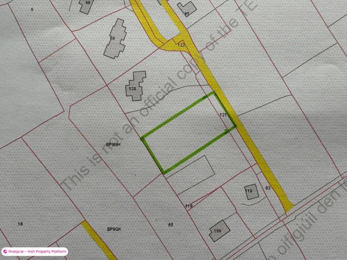
Site for Sale in Dooks, Kerry
Site for Sale in Dooks, Kerry
Site for Sale in Dooks, Kerry
Site for Sale in Dooks, Kerry

Site for Sale in Dooks, Kerry – Dooks, Glenbeigh, Dooks, Co. Kerry, V93Y9C8

€100000
0.6 acres

Dooks, Glenbeigh, Dooks, Co. Kerry, V93Y9C8

Posted 3 months ago
live
Available fromJanuary 12, 2026
Seller TypePrivate
LocationDooks, Glenbeigh, Dooks, Co. Kerry, V93Y9C8

Location

Dooks, Glenbeigh, Dooks, Co. Kerry, V93Y9C8

Description

About this property Description We are delighted to offer new to the market approx 0.6 acre site in a sought after area of Dooks. Just of the main road and being sold subject to planning permission. Proposed purchaser would need to demonstrate a genuine local and housing need as per Rural Settlement Policy. Only 600m from Dooks Golf Club. For maps etc call Adrian on 087 1303206.

Ad ID

7112

Ad views

322

Agent profile photo

Adrian Hassett

Contact Agent

Seller profile photo

Adrian Hassett Auctioneers Ltd

Real Estate Broker (33 listings)

View all listings
Call