Get a Free Property Valuation with FindQo.ie Property Valuation Calculator!

Free Valuation

€null
Agricultural Land for Sale in Ardfert, Kerry
Agricultural Land for Sale in Ardfert, Kerry
Agricultural Land for Sale in Ardfert, Kerry
Agricultural Land for Sale in Ardfert, Kerry
Agricultural Land for Sale in Ardfert, Kerry
Agricultural Land for Sale in Ardfert, Kerry
Agricultural Land for Sale in Ardfert, Kerry
Agricultural Land for Sale in Ardfert, Kerry
Agricultural Land for Sale in Ardfert, Kerry

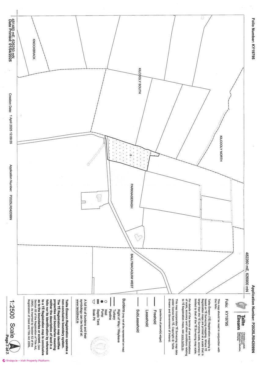
Agricultural Land for Sale in Ardfert, Kerry – Parknageragh

Price on application

Parknageragh

Posted 5 months ago
sale-agreed
Available fromOctober 6, 2025
Seller TypePrivate
LocationParknageragh

Location

Parknageragh

Description

About this property Description ***NEW TO THE MARKET*** FOLIO: KY19795 Gary O Driscoll & Co. Ltd (PSR Licence No: 003250-005330) are delighted to offer this parcel of agricultural land to the market, boasting c.37.7 acres (15.26 hectares). The lands are of high quality, suitable for tillage and well fenced, and level throughout, boasting good natural drainage. Within close proximity to both Tralee, Ardfert and Abbeydorney, it is well situated for any agricultural use. The folio is separated into 3 parcels of land, with the largest portion in one lot (around 33 acres) with triple access from the public roadway. The further two areas are commonage, laid out in grass with the relevant rights attached, which extend to around 4.7 acres collectively. There is no water or electricity currently connected.

Ad ID

6246

Ad views

375

Agent profile photo

Gary O'Driscoll and Co

Contact Agent

Seller profile photo

Gary O'Driscoll and Co

Real Estate Broker (28 listings)

View all listings